family CERAMBYCIDAE Latreille, 1802
subfamily LEPTURINAE Latereille, 1802
tribe Lepturini Latreille, 1802
genus Stictoleptura Casey, 1924
Stictoleptura rubra rubra (Linnaeus, 1758)
subgenus Aredolpona Nakane & Ohbayashi, 1957

Bionomie. Vývoj v mrtvém silnějším dřevě jehličnatých dřevin, které má dostatečnou vlhkost. Zejména častý v pařezech a kořenových nábězích i podzemních částech, ale i ve dřevě ležícím na zemi, v dolních částech starších souší, zlomech, plotových kůlech pod. Obvykle samička klade vajíčka do neodkorněného dřeva, ale též i do dřeva zbaveného kůry. V jednom dřevě se často vyvíjí více generací, až dojde k úplnému rozpadu dřeva. Doba vývoje dva roky, pravděpodobně podle teplot a vlhkosti dřeva někdy delší. – Imaga se vyskytují od VI. do VIII. až výjimečně do poloviny X., maximum VII., na různých květech, zejména Apiaceae a na dříví.
Živné rostliny - Pinus, Picea, Larix, Abies; v sev.Evropě na Quercus, Fagus.
Stictoleptura cordigera (Fuessly, 1775)
subgenus Stictoleptura Casey, 1924
Stictoleptura cordigera cordigera (Fuessly, 1775)











Stictoleptura cordigera illyrica (G. Müller, 1948)


Stictoleptura cordigera romanica Podaný, 1955

Stictoleptura cordigera ssp. xxx Turecko
Do Turecka zřejmě zasahuje východobalkánská ssp. romanica. V asijské oblasti výskytu budou pravděpodobně další dosud nepopsané subspecie.




Stictoleptura cordigera anojiaensis (Sláma, 1982)

Velikost 11-20 mm.
Bionomie. Vývoj jsem zjistil ve zcela odumřelém dřevě nadzemní části stojících uhynulých stromů Quercus. Nalezl jsem však pouze zbytky a uhynulá imaga, zřejmě vlivem nedostatku vlhkosti. Celý vývoj larev probíhá v dřevní části. Imaga se v západní a jižní Evropě vyskytují od konce V. do VII., maximum VI. na různých květech, např. Apiaceae, Rubus, Cistus, Carduus, Allium.
Živné rostliny - Quercus (Francie, Kréta); Castanea a Pistacia; Eucalyptus polyanthemos.
Variabilita. Černá skvrna na krovkách může mít různý tvar, nebo je redukována až úplně chybí. Zbarvení krovek je ovlivněno převážně geograficky, bylo popsáno několik poddruhů.
Stictoleptura cordigera Füessly, 1775 a týká se to také druhu Stictoleptura fulva De Geer, 1775. Znovu bych chtěl doporučit k přečtení text v mé knize (na str. 246 a 247). Nejen oba tyto druhy se v různých oblastech výskytu morfologicky odlišují a při podrobnějším studiu, dobré optice a trpělivosti lze oba tyto druhy podle jednotlivých imag přibližně lokalizovat. O pravosti některých uváděných lokalit ve střední Evropě nejsem přesvědčen a považoval bych za žádoucí se tímto problémem a revizí lokalit více zabývat. Viděl jsem imaga pocházející zřejmě ze západní Evropy (starší nálezy), nebo Balkánu (novější nálezy). Téměř jistě v nedaleké budoucnosti bude provedena revize nebo popsání nových subspecií. Pak bude možné nasbírané materiály znovu prověřit a ověřit správnost a pravost uvedených lokalit.
Stictoleptura erythroptera (Hagenbach, 1822)
subgenus Stictoleptura Casey, 1924




Bionomie. Vývoj larev ve zcela odumřelém dřevě dosud žijících stromů, ve starých odřených místech bez kůry (“lysinách”), v odřených kořenových nábězích a ve stromových dutinách. Není mi známo, zda se vyvíjí též ve zcela mrtvých stromech. Vývoj víceletý. - Imaga se vyskytují v VI. – VIII., maximum konec VI. až polovina VII., na květech zejména Apiaceae a Rubus, případně na dřevě.
Živné rostliny - Tilia (ČR), Fagus (Francie); Quercus dalechampii, Acer.
Stictoleptura trisignata (Fairmaire, 1852)
subgenus Stictoleptura Casey, 1924

Stictoleptura rufa Brullé, 1832
subgenus Stictoleptura Casey, 1924
Stictoleptura rufa rufa Brullé, 1832

Stictoleptura rufa dimidiata K. Daniel & J. Daniel, 1891
Je otázkou, zda zařazení tohoto taxonu jako ssp. rufa je správné.

Stictoleptura ivoroberti Sama, 2010
subgenus Stictoleptura Casey, 1924

Stictoleptura maceki Holzschuh, 1991
subgenus Stictoleptura Casey, 1924
Danilevsky, 2025 uvádí tento taxon jako synonymum od S. heydeni Ganglbauer, 1889. Domnívám se, že jde o samostatný druh.

Stictoleptura fontenay (Mulsant, 1839)
subgenus Stictoleptura Casey, 1924





Stictoleptura slamai (Sama, 2010) (syn. (?) martini Sláma, 1985)
subgenus Stictoleptura Casey, 1924


Stictoleptura oblongomaculata (Buquet, 1840)
subgenus Stictoleptura Casey, 1924
Stictoleptura tangeriana (Tournier, 1875)
subgenus Stictoleptura Casey, 1924

Stictoleptura palmi (Demelt, 1972)
subgenus Hesperoleptura Vives. 2021

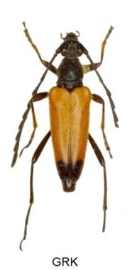
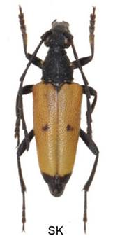
Stictoleptura scutellata scutellata (Fabricius, 1781)
subgenus Melanoleptura Miroshnikov, 1998








Velikost 12-21 mm.
Bionomie. Listnaté, převážně bukové lesy. Vývoj ve zcela odumřelém dřevě listnatých dřevin od průměru cca 12 cm do neomezené tloušťky, v kmenech stojících odumřelých stromů, ve dřevě ležícím na zemi, v dutinách, suchých větvích, odřených místech bez kůry, na živých stromech apod. Nezjistil jsem nikdy vývoj v pařezech. Larva žije ve dřevě, které během nejméně dvouletého vývoje prodělá značné hnilobné změny, rozdílné hlavně podle druhu a vlhkosti dřeva. Přežívá i v poměrně sušším dřevě. Přezimuje jako larva. Výletové otvory jsou téměř kulaté. - Imaga se vyskytují VI. – VIII., maximum VII. na různých květech, zejména Apiaceae a na dříví.
Živné rostliny - Především Fagus a Carpinus, dále Quercus, Betula; Alnus, Corylus avelana, Larix; Fraxinus; Castanea.
Variabilita. Velmi vzácně krovky mohou být hnědé.
Stictoleptura tesserula (Charpentier, 1825)
subgenus Batesiata Miroshnikov, 1998









Velikost 10-17 mm.
Bionomie. Okraje lesních porostů, horská údolí, loučky, nezalesněné plochy. O vývoji larev není téměř nic známo. - Imaga se vyskytují od konce VI. do VIII. (9.9.1973 Weisz), maximum VII. na květech, hlavně Apiaceae.
Živné rostliny - Většinou bývají uváděny listnaté stromy, zejména Fagus. Všechny mně známé lokality jsou však ve smíšených porostech a v čistých Fagetech jsem tento druh nikdy nenašel. Za pravděpodobnější bych považoval Abies, kterou jsem vždy na uvedených lokalitách zjistil (včetně Turecka), ale ani v této dřevině se mi však larvy v nadzemních částech nepodařilo nalézt.
Variabilita. Skvrny na krovkách mohou mít různý tvar. Vzácně úplně chybí.
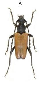
Stictoleptura maculicornis (DeGeer, 1775)
subgenus Maculileptura Danilevsky, 2014




Bionomie. Palm (1951) dochoval imaga ve velkém počtu asi z 15 cm silné Betula pubescens. Vývoj larev ve zpuchřelém dřevě. Přezimuje jako larva. Doba vývoje zpravidla dvouletá. Kuklí se ve dřevě. - Imaga se vyskytují od VI. do VIII. na různých květech, např. Apiaceae, Aruncus, Knautia aj.
Živné rostliny - Sorbus; Pinus, Abies; Picea, Betula, Quercus, Fagus.
Stictoleptura ondreji (Sláma, 1993)
subgenus Maculileptura Danilevsky. 2014


Stictoleptura simplonica (Fairmaire, 1885)
subgenus Maculileptura Danilevsky, 2014


Bionomie není přesně známaa.
Imaga na květech např. okoličnatých
(Apiaceae). VI-VII.
Původně jsem druh Stictoleptura ondreji popsal jako subspecii Paracorymbia maculicornis. Později ji italští entomologové přeřadili nesprávně jako subspecii k P. simplonica. Podle zobrazení je jasné, že zařazení P. ondreji jako subspecie P. simplonica, jen podle chybějícího černého zbarvení konce krovek, bylo zcela chybné. Jak už jsem dříve publikoval, správné zařazení je jako samostatný druh Stictoleptura ondreji (Sláma, 1993).
A. Stictoleptura maculicornis (DeGeer, 1775)
B. Stictoleptura ondreji (Sláma, 1993)
C. Stictoleptura simplonica (Fairmaire, 1885)











Stictoleptura pallens (Brullé, 1832)
subgenus Maculileptura Danilevsky, 2014

Stictoleptura picticornis (Reitter, 1885)
subgenus Maculileptura Danilevsky, 2014







Stictoleptura fulva (DeGeer, 1775)
subgenus Paracorymbia Miroshnikov, 1998

Velikost 9-14 mm.
Bionomie. Přestože je tento druh v jižní Evropě místy velmi hojný, jeho bionomie je málo známá a nemohu k ní nic bližšího uvést. - V jižní a západní Evropě se imaga vyskytují od V. – VIII. na různých květech, zejména Apiaceae, Rubus aj.
Živné rostliny - ?? - Populus, Salix, Pinus halapensis, Acer pseudoplatanus.
Stictoleptura hybrida (Rey, 1885)
subgenus Paracorymbia Miroshnikov, 1998

Velikost 9-14 mm.
Druh jihozápadní Evropy. Bionomie je rovněž velmi málo známá, vývoj larev v jehličnatých stromech? Imaga na květech v VI-VII.
Stictoleptura stragulata (Germar, 1824)
subgenus Cribroleptura Vives, 2000








Stictoleptura variicornis (Dalman, 1817)
subgenus Variileptura Danilevsky, 2014






Velikost 15-23 mm.
Bionomie. Ve střední Evropě se vyskytuje pouze na severovýchodě Polska. Larvy se vyvíjejí v odumřelém a rozkládajícím se dřevě. Imaga na květech VII-VIII.
Živné rostliny. Obvykle jsou udávány jehličnaté dřeviny Picea, Pinus, ale i listnaté Betula, Populus tremula, Tilia.
Stictoleptura deyrollei Pic, 1895)
subgenus Miroshnikovia Danilevsky, 2014

Stictoleptura scutellata scutellata (Fabricius, 1781) SK Fagus

